
知东莞APP

东莞广播电视台
微信公众号

东莞阳光网
微信公众号

莞视频

东莞电台
微信公众号

东莞阳光网
抖音号

东莞阳光网
视频号

东莞地产圈

阳光教育通

莞味主理人

家乡好物

Dongguan Today
东城街道东泰社区与房管所不调查无根据回复市民问政
太阳星空
来自:中国 发布日期2026-03-16 21:50:59
状态:
待处理
编号:572100
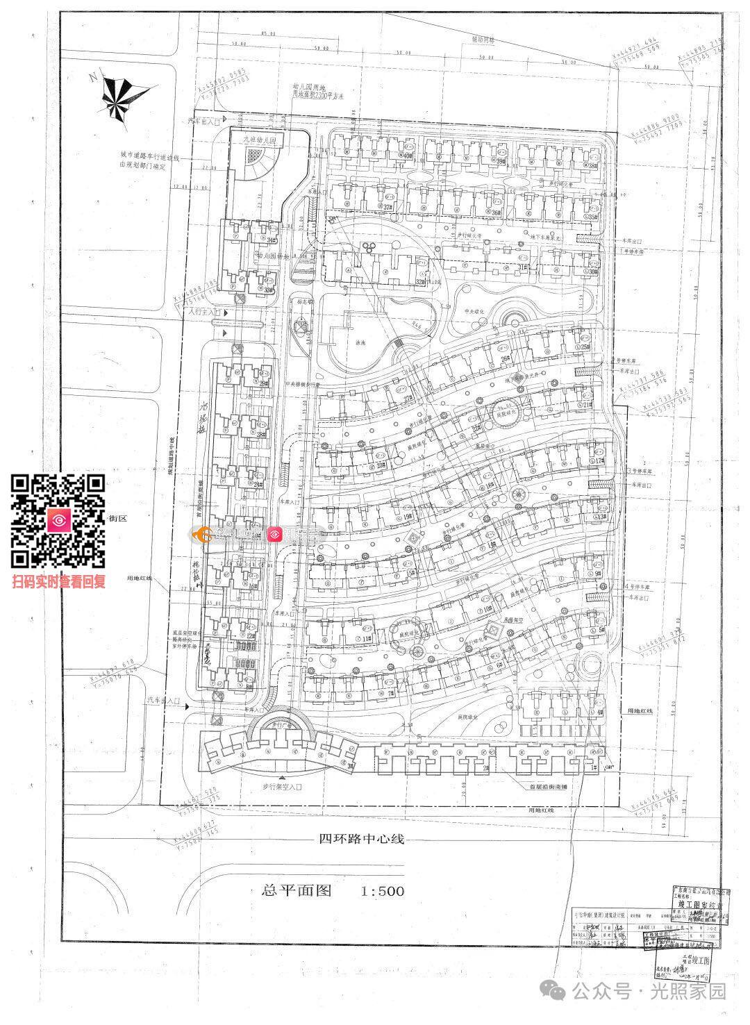
东城街道领导: 投诉东泰居委会和房管所不调查不研究,拍脑袋回复市民的问政与质询(见图1),东莞市东城街道阳光假日和阳光澳园是原中信地产建设,阳光假日是2002年10月竣工,见图2阳光假日一期竣工图,图中有非常明显的用地红线,并清晰显示阳光假日是独立区域,与阳光澳园区域无关联。 阳光澳园规划时间是2003年9月,见图2阳光假日二期(后命名阳光澳园),同样阳光澳园有非常清晰的用地红线,和阳光假日一期,互相独立,没有任何交叉关联,仅仅是相邻,从日期上也可以看出,阳光假日2002年10月已经竣工,一年以后,2003年9月阳光澳园才通过规划审批,建设时间、容积率、绿化率各项经济指标都不一样,楼盘定位、结构更是各不相同,后期的售价、物业费相差甚远,何来的统一用地红线,何来的同一规划,何来的同一小区,完全是两个不同的小区。至于为什么两小区在房管所备案成一个小区的名称(阳光小区),纯粹是中信地产下属物业公司为了节约管理成本,合并了两小区而已。如今两小区20多楼龄了,各种旧改都存在不同步的情况,公共收益无法使用,矛盾不断,业主们拟按红线将两个区分开,或者分账,东泰居委会为了和稀泥,担心业主闹矛盾,不愿作为,就按房管所的胡乱搪塞,应付市民的质询,希望重视,我们相信有更权威的上级解释此事。
0参与
0评论

知东莞APP

东莞广播电视台
微信公众号

东莞阳光网
微信公众号

莞视频

东莞电台
微信公众号

东莞阳光网
抖音号

东莞阳光网
视频号

东莞地产圈

阳光教育通

莞味主理人

家乡好物

Dongguan Today